
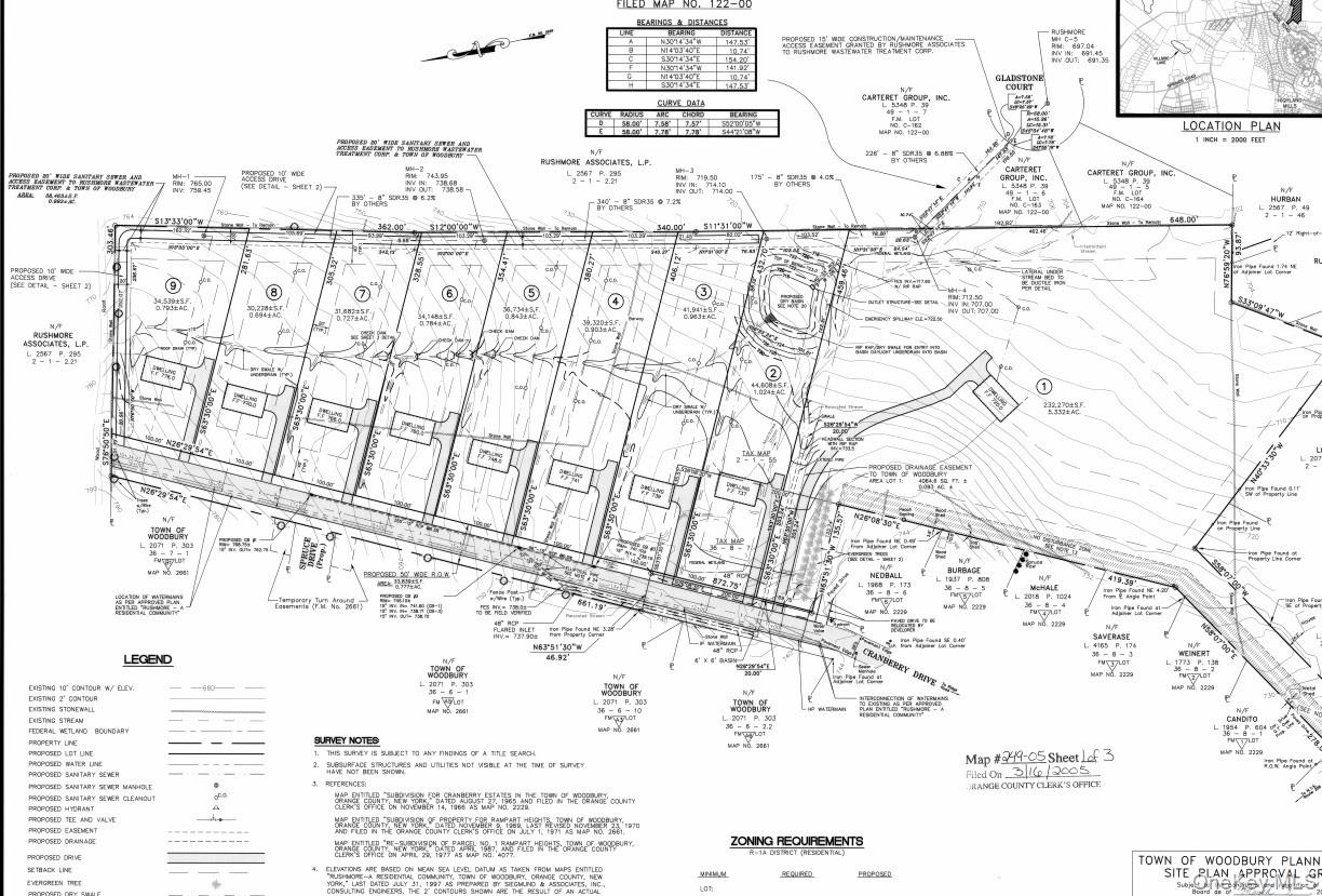
There are opportunities… and then there are opportunities that allow you to shape an entire vision from the ground up. Welcome to Cranberry Drive in Highland Mills, where this shovel ready subdivision presents a remarkable chance to create something truly special in the heart of Woodbury, NY. This offering provides a rare plug and play development opportunity for a builder or investor ready to break ground in one of Orange County’s most desirable neighborhoods. The thoughtfully designed subdivision features seven individual parcels ranging from efficient 0.72 acre lots to a spectacular 5.33 acre anchor estate, offering flexibility for a variety of development visions. The anchor parcel may even present additional subdivision potential, creating further possibilities for those looking to maximize the value of this unique offering. Imagine the possibilities. A curated enclave of custom homes designed to capture the beauty of the Hudson Valley. Sun filled living spaces, peaceful surroundings, and homes crafted to meet the desires of today’s buyers who are seeking both privacy and connection. New York City is approximately 45 miles away, making commuting accessible with nearby connections to Route 32, Route 17, the New York State Thruway, and Metro North rail service from Harriman Station. Life in Highland Mills places you at the center of some of the Hudson Valley’s most loved destinations. Spend weekends exploring the miles of trails and lakes at Harriman State Park, enjoy world class shopping at Woodbury Common Premium Outlets, or unwind at the region’s celebrated Hudson Valley wineries, farm markets, and local restaurants. Development opportunities that are engineered, approved, and ready to move forward are becoming increasingly rare. This property offers the rare ability to move from vision to reality without the typical delays of land development. For builders, investors, or visionaries ready to create something exceptional in the Hudson Valley, Cranberry Drive may be the opportunity you have been waiting for.
| 23 hours ago | Listing first seen on site | |
| 23 hours ago | Listing updated with changes from the MLS® |